Courtesy of eXp Realty

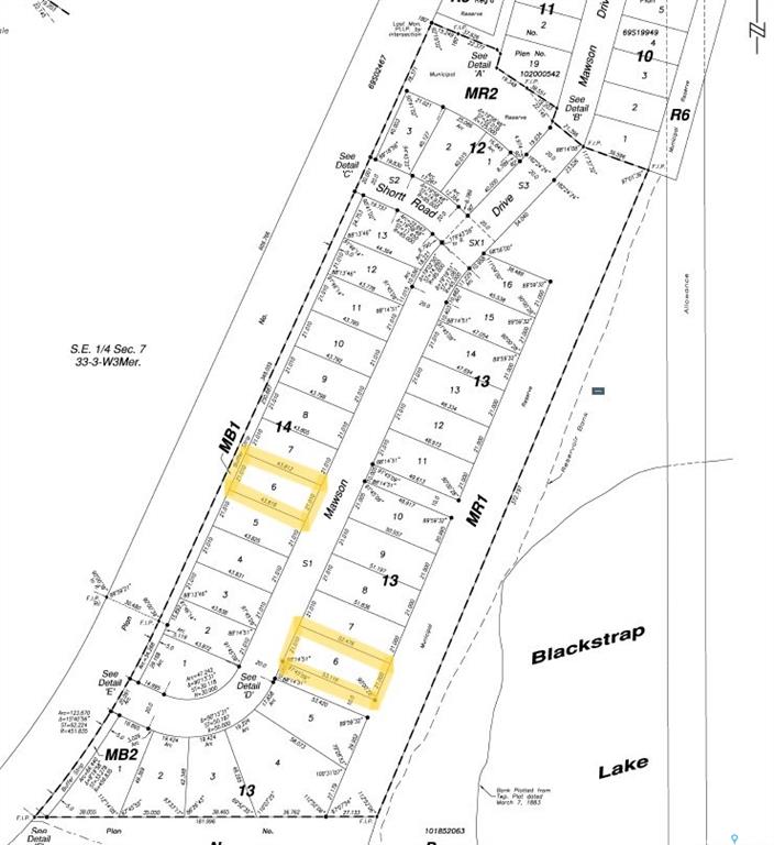
59 Mawson Drive, Land for sale Shields , Saskatchewan , S7C 0A1

 MLS® # SK027010

Sign up to View

Days on Market

LAKE FRONT AND LAKE VIEW LOTS AT BLACKSTRAP SHIELDS! NOW IS THE TIME... Lifestyle, family, community, value & safety…Welcome to the Resort Village of Shields and Blackstrap Lake. Grab your coffee and let’s take a walk around your new building lot with beautiful and endless lake views. Imagine lake living with a short commute to Saskatoon. This is truly the best of both worlds. Making new family memories, imagine the fun…play area, pickle ball/tennis courts, community centre, 9 hole golf course, swimming, ka...

Read More

Essential Information

  • MLS® #
    SK027010
  • Property Type
    Lot/Land
  • MLS® #
    SK027010
  • Property Type
    Lot/Land
  • MLS® #
    SK027010
  • Property Type
    Lot/Land

Community Information

  • Postal Code
    S7C 0A1
  • Postal Code
    S7C 0A1
  • Postal Code
    S7C 0A1

Additional Details

  • Taxes
    1950
  • Ownership Title
    Freehold
  • Taxes
    1950
  • Ownership Title
    Freehold
  • Taxes
    1950
  • Ownership Title
    Freehold

$99,999

59 Mawson Drive

Schedule Tour
Contact Agent

$456/month
Est. Monthly Payment
$
$
%
Learn More